ANUNCIAN HELADAS EN GRAN PARTE DEL PAÍS
ANUNCIAN HELADAS EN GRAN PARTE DEL PAÍS
ECODIARIO
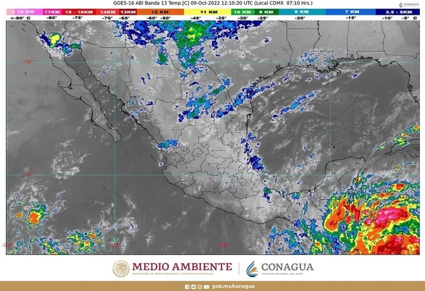
CIUDAD DE MÉXICO.- Debido al recorrido lento del Frente Frío Número 3 por el noreste y el oriente de México, se pronostican lluvias intensas en Chiapas, Puebla, Tabasco y Veracruz, fuertes en Hidalgo, y chubascos en Coahuila, Durango, Nuevo León, San Luis Potosí, Tamaulipas y Zacatecas.
Para el Estado de México, Guanajuato, Michoacán, Querétaro y Tlaxcala, se pronostican condiciones para chubascos, y en Aguascalientes, Ciudad de México Colima, Guerrero, Jalisco, Morelos y Nayarit, para lluvias aisladas.
Las lluvias podrían ser con descargas eléctricas y condiciones para la caída de granizo. Debido a la saturación de los suelos, también podrían provocar deslaves y desbordamiento de ríos y arroyos, así como inundaciones en zonas bajas, por lo que se recomienda a la población seguir las indicaciones de Protección Civil de cada localidad. En Aguascalientes, Chihuahua, Coahuila, Jalisco, Nuevo León, San Luis Potosí y Zacatecas, se prevén vientos con rachas de 50 a 60 km/h.
Noticias Relacionadas
DESTACA VERO DÍAZ REDUCCIÓN DE JORNADA LABORAL A 40 HORAS
La senadora Verónica Díaz Robles celebró la aprobación en el Pleno del Senado de la República de la reforma a la Ley Fed...
FORTALECEN MÉXICO Y EE. UU. SEGURIDAD FRONTERIZA
México y Estados Unidos acordaron reforzar la seguridad y modernización de la frontera durante reunión binacional en Was...
ENTREGA SHEINBAUM VIVIENDAS Y CONDONA CRÉDITOS EN PUEBLA
Claudia Sheinbaum entregó 240 viviendas y condonó 577 créditos en Puebla como parte del programa Vivienda para el Bienes...
CELEBRA SHEINBAUM LA APROBACIÓN DEL PLAN B Y DESTACA EL FIN DE LOS PRIVILEGIOS
En una conferencia matutina, la mandataria destacó que este paso es una victoria en su lucha por reducir los beneficios...